
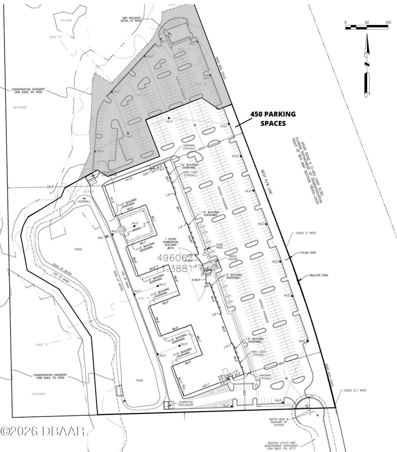
Flagship Opportunity: 10,000 - 89,700+/- SF on 11+/- Acres with I-95 Frontage and 450 Parking Spaces - For Sale or Lease.Rare large-format technology, showroom (automotive, motorcycle, marine), robotics, corporate, training, research, distribution, and light manufacturing opportunity.10,000 - 89,700+/- SF; may be configured into a multi-user building.Located within Destination Daytona, a large, open-air retail complex with over 625,000 annual visitors and home to Teddy Morse's Harley-Davidson, o...Flagship Opportunity: 10,000 - 89,700+/- SF on 11+/- Acres with I-95 Frontage and 450 Parking Spaces - For Sale or Lease.Rare large-format technology, showroom (automotive, motorcycle, marine), robotics, corporate, training, research, distribution, and light manufacturing opportunity.10,000 - 89,700+/- SF; may be configured into a multi-user building.Located within Destination Daytona, a large, open-air retail complex with over 625,000 annual visitors and home to Teddy Morse's Harley-Davidson, one of the largest Harley-Davidson dealerships in the world.850+/- feet of I-95 frontage with exceptional brand visibility.450 Parking Spaces - Extensive parking supporting office, manufacturing, research, distribution, training, showroom, and other permitted uses.Creative Seller will consider a variety of transaction structures.Building features:Fully conditioned interiorFire Sprinkler systemDigital SignAmple power supply for large-scale operationsMultiple overhead doors
View MoreCourtesy of
Agency Name: SVN Alliance Commercial Real Estate Advisors
Agent Name: Carl Lentz
Presented by
Agent Name: Alex Cika
Agent Phone: Cell: 954.775.6316
Agency Title: The Keyes Company
Send an email with a link to
470 Destination Daytona Lane, Ormond Beach, FL 32174.
Email 470 Destination Daytona Lane, Ormond Beach, FL 32174
Thank you for your inquiry! As a thank you, we have a Special Mortgage Offer for You.
We would like to provide you a free, no-obligation, home loan pre-approval review.